Property Details
  • Property Refrence: 2607
  • Agent:
  • Property Type: House / Villa
  • Property status: Sales
  • Property Price: $ 4,500,000
  • Bedrooms: 0
  • Bathrooms: 0
  • Built: N/A
  • Country: United States
  • Region: Suffolk County
  • City: Saint James
Description

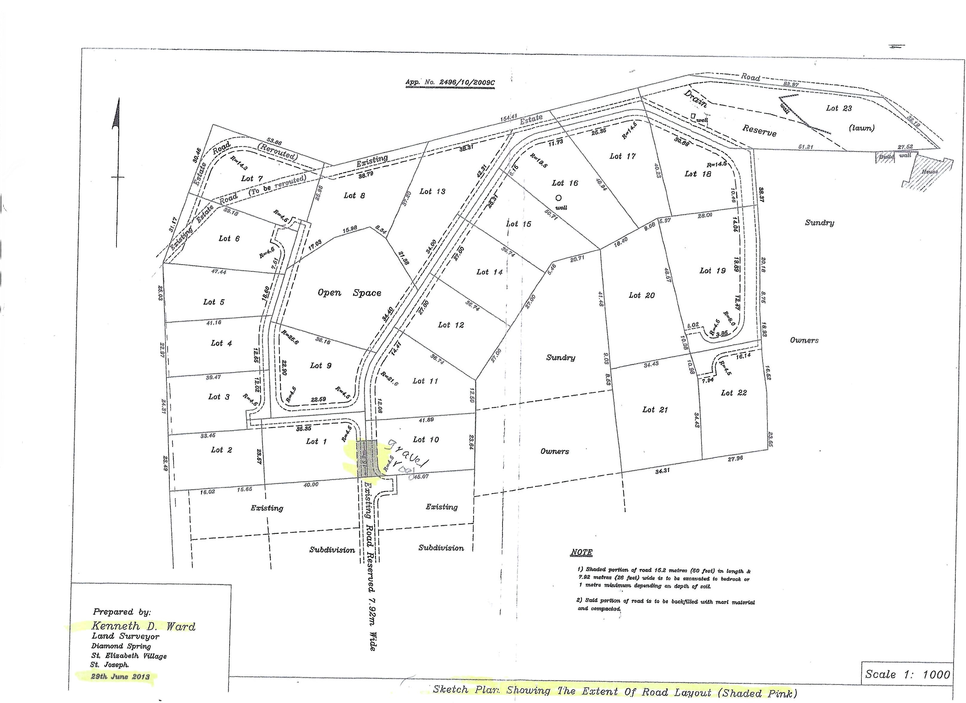
Exceptional Land Development Opportunity in Holders, St. James, Barbados Nestled on the border of the prestigious Sandy Lane area, this remarkable 8.34-acre parcel of land presents an outstanding opportunity for astute investors and developers. Situated between Bamboo Ridge, Holders, and the renowned Sandy Lane Green Monkey Golf Course, this prime piece of real estate beckons with its immense potential. Here and some key features for anyone looking to buy development land in Barbados. Approved Subdivision and Infrastructure: One of the standout features of this property is the existing permission for subdivision into 22 residential lots. This invaluable approval streamlines the development process, offering a clear path to realizing your vision. While roads and essential infrastructure are yet to be implemented, the groundwork is in place for a seamless transition into a flourishing residential community. Enviable Location and Scenic Views: Location is paramount in real estate, and this land parcel enjoys a truly enviable one. Not only does it border the esteemed Sandy Lane Estate, but it also boasts proximity to the Bamboo Ridge and Hoytes Village entry points. Several of the lots even offer captivating sea views, adding an element of exclusivity that will undoubtedly attract discerning buyers. Convenient Access to Luxury and Amenities: Just a brief 5-minute drive from the property lies the renowned Platinum Coast. This means future residents will have effortless access to some of Barbados's most pristine beaches. Furthermore, the area is replete with 5-star restaurants, a state-of-the-art supermarket, numerous banks, a post office, and the upscale Limegrove Centre. These conveniences make daily life a breeze and enhance the appeal of this development. In conclusion, this 8.34-acre development land in Holders, St. James, Barbados, is a rare gem waiting to be polished into a lucrative residential community. With approved subdivision, picturesque views, and proximity to all the luxuries and amenities one could desire, this property promises an exceptional return on investment. Don't miss the opportunity to transform this blank canvas into a masterpiece of Barbadian living. For more information and inquiries, please do not hesitate to reach out to us at info@realtorslimited.com or 1-246-537-6930. Your vision for this land awaits and our team is ready to help make that vision a reality!